为切实发挥警示震慑作用,保护好林草资源,国家林业和草原局决定公开通报2024年第四批9个毁林毁草典型问题。
1.四川省南江县圣堡矿业有限公司擅自占用林地365.11亩。
2021年以来,南江县圣堡矿业有限公司在未取得使用林地行政许可的情况下,擅自占用林地365.11亩,用于开采建筑石料。

2015年4月卫星影像

2024年12月卫星影像

现地照片
2.河南省大地水泥有限公司擅自占用林地240.86亩。
2019年至2020年,河南省大地水泥有限公司超使用林地行政许可范围占用鲁山县、宝丰县林地240.86亩,建设水泥原料加工厂。

2018年6月卫星影像

2024年11月卫星影像

现地照片
3.宁夏回族自治区中卫浩远科技有限公司擅自占用草地218.25亩。
2023年9月,中卫浩远科技有限公司在未经林草主管部门审核同意的情况下,擅自占用中卫市东园镇天然牧草地218.25亩,建设数据中心大楼项目。

2022年6月卫星影像

2024年10月卫星影像

现地照片
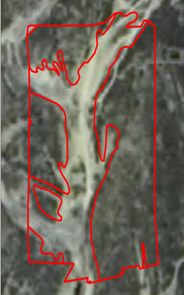
4.青海省囊谦县香达镇物流园区项目擅自占用林地、湿地107.92亩。
2023年11月,香达镇物流园区项目在未取得使用林地行政许可的情况下,擅自占用林地67.59亩;在未征求县级以上地方人民政府授权部门意见的情况下,擅自占用湿地40.33亩。

2022年4月卫星影像

2024年11月卫星影像

现地照片
5.云南省华能澜沧江(巍山)新能源有限公司擅自占用林地107.85亩。
2023年以来,华能澜沧江(巍山)新能源有限公司在未办理使用林地行政许可的情况下,擅自占用大理白族自治州巍山彝族回族自治县青华乡红岩村林地107.85亩,建设光伏电站、开挖施工便道。

2023年4月卫星影像

2024年11月卫星影像

现地照片
6.海南省乐东黎族自治县李某等毁林68.63亩。
2023年以来,乐东黎族自治县尖峰镇尖峰村李某等人在未办理林木采伐许可的情况下,毁坏天然林68.63亩,种植香蕉和黄花梨。

2022年11月卫星影像

2024年5月卫星影像

现地照片
7.重庆市永川区三合矿业有限公司擅自占用林地64.64亩。
2020年至2024年,永川区三合矿业有限公司在未取得使用林地行政许可的情况下,擅自占用永川区吉安镇尖山村林地64.64亩,用于开采石英岩。

2020年11月卫星影像

2024年10月卫星影像

现地照片
8.福建省宁德市贯盛农业综合有限公司擅自占用林地41.1亩。
2019年8月至2024年11月,宁德市贯盛农业综合有限公司在蕉城区虎贝镇下楼村超使用林地行政许可范围占用林地41.1亩,建设无抗生猪养殖项目。

2018年6月卫星影像

2024年11月卫星影像

现地照片
9.新疆维吾尔自治区呼图壁县朱某毁草开垦34.8亩。
2023年4月,昌吉回族自治州呼图壁县种牛场朱某开垦天然牧草地34.8亩,种植粮食与经济作物,草原资源遭到破坏。

2022年7月卫星影像

2023年6月卫星影像

现地照片




